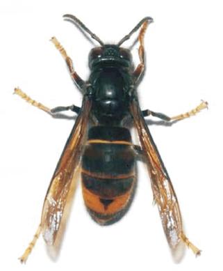
Calabrone asiatico
Vespa velutina
Il calabrone asiatico (Vespa velutina) è una specie esotica recentemente introdotta nel continente europeo. Questo calabrone è un vorace predatore delle nostre nostre api mellifere arrivando a compromettere i raccolti di miele e la capacità di sopravvivenza invernale delle colonie. Preda anche gli altri impollinatori selvatici e può risultare in molti casi un pericolo per l'uomo e per le produzioni agricole (frutteti, vigneti).

Il calabrone asiatico - Vespa velutina (PDF - 1,3 MB) - Nuova minaccia per l'apicoltura regionale
Il calabrone asiatico (PDF - 488,8 KB) - Occhio ai nidi, come riconoscerla e segnalarla
